

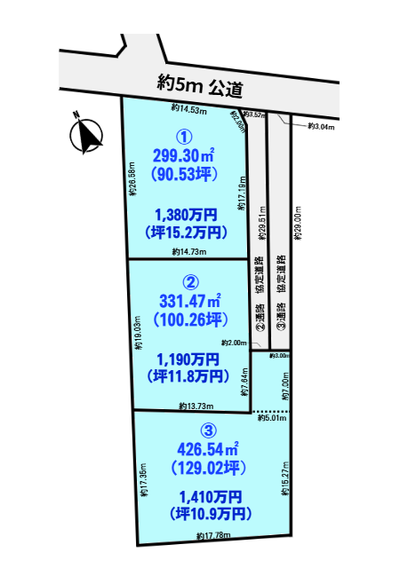
つくば市若森 3区画 土地のご紹介です!!
線引き前宅地につきどなたでも住宅建築が可能✨
近隣にはスーパーやドラックストア、ホームセンター、
飲食店などががあり、生活しやすい立地でオススメです🏠✨
お気軽にお問い合わせください‼
つくば市若森 3区画 土地のご紹介です!!
線引き前宅地につきどなたでも住宅建築が可能✨
近隣にはスーパーやドラックストア、ホームセンター、
飲食店などががあり、生活しやすい立地でオススメです🏠✨
お気軽にお問い合わせください‼
長山小学校まで徒歩6分!
長山中学校まで徒歩4分の立地✨
南道路で日当たり良好!!
建築条件なし🏠✨お好きなハウスメーカー等で建築可!
上下水道引込み済み!
近隣には人気のスーパーやホームセンターがあり、
閑静な住宅街でおすすめです✨
レ・ジェイド葛西ソラリオ 3LDK 新価格になりました✨
3階角部屋✨クロス一部張替え、キッチンコンロ交換、ハウスクリーニング等リフォーム済み!食洗器、リビング床暖房、浴室乾燥完備!!
ペット飼育可🐶🐈。
オススメです!!
関東鉄道南守谷駅まで徒歩18分!
つくばエクスプレス 守谷駅 徒歩23分!!
常総ふれあい道路沿いのお店が多いエリアです✨
店舗や住宅に最適です✨
お気軽にお問い合わせください!
古屋付き店舗は現況での引渡しとなります!
常陸太田市 天神林町 4LDK
2024年9月外壁塗装・フローリング張替え・クロス張替え・給湯器交換などリフォーム済み✨
駐車場4台可能。納戸やWIC・床下収納など収納豊富な住宅です♪
2025年5月室内リフォーム!
水回りも全て交換済みできれいで快適に暮らせます♪
明るいリビング、使い勝手の良い3LDK!小学校ま600m以内!
複数路線利用可能✨(JR武蔵野線、東武スカイツリーライン、東武伊勢崎線)
牛久市 南5丁目 中古住宅が新価格1,870万円なりました✨
駐車スペース3台🚘✨全室南向き!!
クロス交換済みなので、おしゃれな空間で快適に暮らせます♪
近隣にはカスミフードスクエア牛久店があり、買い物にも便利な立地です🛒✨
休業期間中にいただきましたお問い合わせにつきましては、順次ご対応させていただきます。
ご不便をおかけいたしますが、何卒よろしくお願い申し上げます。
つくば市島名10年特例用地!!
万博記念公園駅まで徒歩13分の立地✨
広々140坪の土地にお好きなハウスメーカーで建築可能です🏠✨
該当地域にお住まいの方、オススメです🤩✨
対象物件をプライムホームでご成約いただいたお客様に
【キャンペーン期間】
2025年8月1日~ 2025年8月31日まで✨
※キャンペーン対象物件についてはお問い合わせください♪